Pasar al contenido principal
La Huella Roja Almería
Menú
Main menu
< Inicio
Conocenos
Conocenos sub-navigation
Contacto
Quienes somos
Actividades
Noticias y prensa
Ayúdanos
Ayúdanos sub-navigation
Adopta
Acoge
Apadrina
Difunde
Donaciones
Hazte Teaming
Hazte Voluntario
Hazte socio
Herencias y Legados
Saber más
Saber más sub-navigation
Finales felices
Nos dejaron
Qué hacer si...
Licencia PPP
Denuncia
Ayuda con la Hucha
Buscar
Terránea
Donar
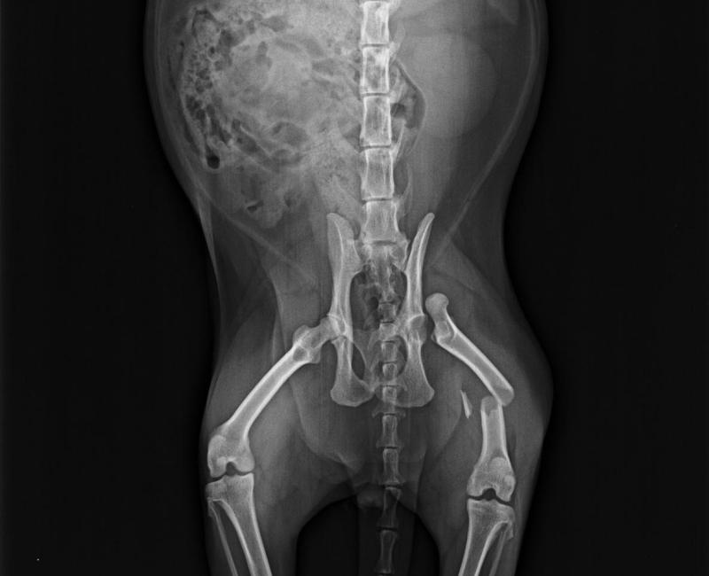
Juan adoptado
JUAN ADOPTADO!!!!!
JULIO 2025
Juan
Social Media Links